Zu Verkaufen €149.220 - Grundstück (Wohnbebauung)
Objektbeschreibung
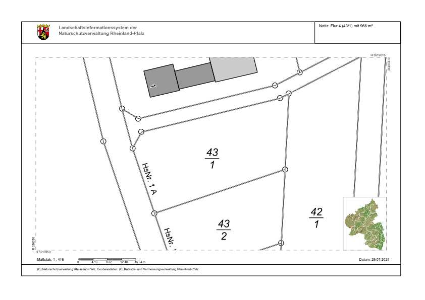
In ruhiger, ländlicher Lage von Newel, einer attraktiven Gemeinde im direkten Umland von Trier, steht dieses voll erschlossene Baugrundstück zum Verkauf. Die Fläche eignet sich ideal zur Bebauung mit einem Mehrfamilienhaus oder alternativ mit einem großzügigen Einfamilienhaus ganz nach Ihren Vorstellungen oder Investitionszielen.
?? Grundstücksdaten:
Lage: Newel, Ortsrand in ruhiger Wohngegend
Erschließung: Voll erschlossen
Genehmigung: Vorliegende Baugenehmigung für ein Mehrfamilienhaus mit 6 Wohneinheiten
Wohnfläche laut Planung: ca. 507 m²
Zusätzliche Nutzfläche: Technikräume
Stellplätze: 9 geplante Kfz-Stellplätze
?? Nutzungsmöglichkeiten:
Realisierung eines modernen Mehrfamilienhauses mit sehr guter Vermietbarkeit
Aktuelle Marktmieten in Newel: ca. 1113 EUR/m² Wohnfläche
Auch ideal zur Eigennutzung oder als Kapitalanlage mit attraktiver Rendite
Alternativ: Bebauung mit einem Einfamilienhaus möglich dank des sehr fairen Grundstückspreises auch für Privatpersonen wirtschaftlich gut darstellbar
?? Lagevorteile: Newel liegt etwa 1015 Autominuten westlich von Trier und ist verkehrstechnisch hervorragend angebunden. Die B51 sowie die A64 (Richtung Luxemburg) sind schnell erreichbar. Trotz der ruhigen, grünen Lage profitieren Sie von der Nähe zur Stadt Trier sowie zur luxemburgischen Grenze perfekt für Berufspendler oder Familien, die naturnah wohnen möchten.
In der Gemeinde selbst finden sich ein Kindergarten, eine Grundschule sowie eine gute Busanbindung. Weiterführende Schulen, Einkaufsmöglichkeiten und medizinische Versorgung befinden sich im nahen Trier oder den umliegenden Gemeinden.
?? Fazit: Ein attraktives Baugrundstück mit großem Potenzial ob als Projektentwicklung für Wohnraum mit hoher Nachfrage oder zur Realisierung Ihres Eigenheims in ruhiger Lage. Die vorhandene Baugenehmigung, solide Mietpreisaussichten und der attraktive Kaufpreis bieten eine hervorragende Basis für Ihr Bauvorhaben.
Lage
Newel mit den Ortsteilen Newel, Butzweiler, Beßlich und Lorich ist eine ländlich geprägte Ortsgemeinde im Landkreis Trier-Saarburg, Rheinland-Pfalz, eingebettet in die südlichen Ausläufer der Eifel auf ca. 365 m Höhe . Sie gehört zur Verbandsgemeinde Trier-Land und liegt rund 10 km nordöstlich von Trier unmittelbar an der früheren Römerstraße TrierNeuss, nahe der Bundesstraße 51.
?? Landschaft und Umwelt
Die Gemeinde erstreckt sich über hügelige Höhenrücken aus Muschelkalk- und Buntsandstein zwischen Wäldern, Feldern und Wiesen . Besonders reizvoll ist das Butzerbachtal ein wildromantisches Flusstal mit Premiumwanderwegen, römischen Steinbrüchen und ehemaligen Kupferbergwerken, sowie einem Teilstück der römischen Langmauer .
??? Ortsteile im Überblick
NewelHauptort an alter Römerstraße, heute Pendlerwohnsitz für Trier – Luxemburg
ButzweilerHöhengemeinde mit 1.413 EW, nahe Butzerbachtal, fränkisch-römisch geprägt
BeßlichKleiner Ort mit ca. 557 Einwohnern in Hangmulde an Quelle des Beßlicher Baches, stark landwirtschaftlich
LorichRund 79 EW, Südrand des Muschelkalkgebiets mit Hanglage zum Loricher Bach naturnah und ruhig
?? Infrastruktur und Wohnen
Newel verfügt über eine gute Infrastruktur, rege Vereinslandschaft sowie mehrere neue Wohnbaugebiete, die dem starken Wohnraumbedarf Rechnung tragen insbesondere durch Pendler nach Trier, Bitburg oder Luxemburg . Die Gemeinde wurde im Regionalplan der Region Trier als bevorzugtes Wohngebiet eingestuft und gilt als attraktive Wohnlage .
?? Historisches und Kulturelles
Die Wurzeln reichen bis ins frühe Mittelalter: bereits 634 wurde das Gebiet dem Trierer Paulinstift geschenkt, urkundlich im Jahr 981 unter dem Namen Nuvela erwähnt .
In Butzweiler finden sich römische Siedlungsspuren, ein Kupferbergwerk und Steinbrüche Material wurde für die Porta Nigra verwendet .
In Beßlich befindet sich die romanische Kirche St. Abrunculus aus dem 12. Jahrhundert ein geschützter Kulturdenkmalbestand .
Ebenfalls sehenswert: die Villa rustica mit Umgangstempel und Grabbezirk bei Newel sowie erhaltene Reste der römischen Langmauer .
? Fazit
Newel bietet in unmittelbarer Nähe zu Trier eine hohe Lebensqualität mit reizvoller, naturnaher Landschaft, historischem Erbe, aktiver Dorfgemeinschaft und guter Mobilität. Die ruhige ländliche Umgebung kombiniert sich ideal mit modernen Wohnbedürfnissen und kultureller Vielfalt.
Ausstattung
Allgemeine Geschäftsbedingungen der City Immobilien Böhmer:
Für den Nachweis oder die Vermittlung zahlt der Empfänger des Angebotes unbeschadet einer Maklerprovision der Gegenseite bei Erwerb eines Objektes durch ihn, seinen Ehepartner bzw. Lebensgefährten oder einen Verwandten die ausgewiesene Maklerprovision vom Wirtschaftswert des Vertrages unter Einschluss aller damit zusammenhängenden Nebenabreden an die City Immobilien.
Das Maklerhonorar ist bei Abschluss des Vertrages durch unseren Nachweis oder unsere Vermittlung fällig.
Der Empfänger ist verpflichtet, alle Angebote, Mitteilungen und Unterlagen vertraulich zu behandeln. Eine Weitergabe an Dritte ist nur mit Zustimmung der Gesellschaft gestattet. Wenn im Falle unbefugter Weitergabe des Maklerangebotes ein Kaufvertrag zwischen dem Dritten und dem nachgewiesenen Verkäufer zustande kommt, hat der Auftraggeber diejenige Provision zu bezahlen, die er im Falle des eigenen Erwerbs hätte bezahlen müssen.
Hinsichtlich des Objektes ist City Immobilien Böhmer auf die Auskünfte der Verkäufer, Vermieter, Verpächter, Bauherren, Bauträger und Behörden angewiesen.
Insoweit beruhen sämtliche Informationen auf den ungeprüften Auskünften von Dritten. Eventuelle Berechnungen verstehen sich als unverbindliche Beispiele.
Für die inhaltliche Richtigkeit und Vollständigkeit ist jede Haftung ausgeschlossen, sofern nicht Vorsatz oder grobe Fahrlässigkeit vorliegt.
Darüber hinaus kann City Immobilien Böhmer für Objekte keine Gewähr übernehmen und für die Bonität der Vertragspartner nicht haften.
Die Angebote der City Immobilien Böhmer sind freibleibend und unverbindlich.
Ein Zwischenverkauf bzw. vermietung bleibt vorbehalten.
Weitere Details
- Grundstücksfläche: 966 m²
- Kaufpreis: 149.220 €
- Courtage: 3.57 %





